Przejdź do stopki

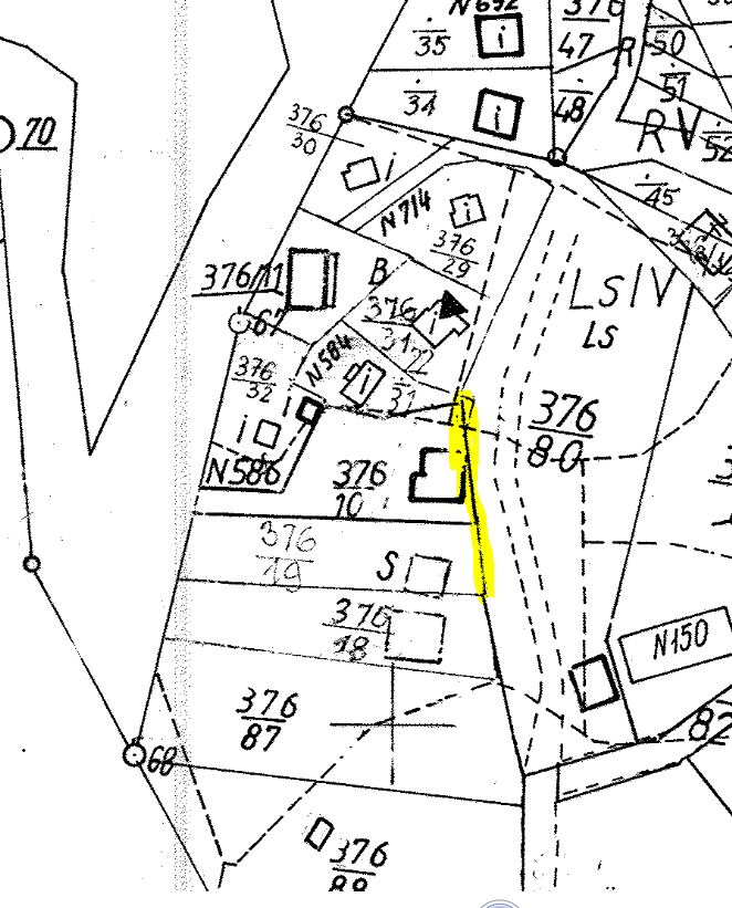
PRN.271.II.22.2021 „Wykonanie przez uprawnionego geodetę czynności w postępowaniu o rozgraniczenie nieruchomości: dz. ew. 376/10 i 376/19 obr. Rożnów od nieruchomości oznaczonej w ewidencji gruntów jako dz. ew. 376/123 obr. Rożnów

Treść

Gródek nad Dunajcem, 11 maja 2021 r.

PRN.271.II.22.2021

Wójt Gminy Gródek nad Dunajcem

 

ZAPROSZENIE DO SKŁADANIA OFERT

 

Zamawiający : Wójt Gminy Gródek nad Dunajcem zaprasza do złożenia oferty na wykonanie zadania o wartości szacunkowej nie przekraczającej równowartości kwoty 130 000,00 złotych pn.

 

„Wykonanie przez uprawnionego geodetę  czynności w postępowaniu o rozgraniczenie nieruchomości: dz. ew. 376/10 i 376/19 obr. Rożnów od nieruchomości oznaczonej w ewidencji gruntów jako dz. ew. 376/123 obr. Rożnów w celu ustalenia przebiegu granic i utrwalenia punktów granicznych nieruchomości - na potrzeby prowadzonego postępowania administracyjnego.”

 

I. Nazwa i adres Zamawiającego:

Gmina Gródek nad Dunajcem – Urząd Gminy Gródek nad Dunajcem

Gródek nad Dunajcem 54, 33-318 Gródek nad Dunajcem

tel.: 018 440 10 35, fax: 018 440 10 35 wew. 20

NIP: 734-348-28-12

REGON: 491892191

Pracownikiem upoważnionym do kontaktów z Wykonawcami jest:

Lesław Czul - kierownik Referatu Podatków, Rolnictwa i Gospodarki Nieruchomościami,

tel.: 018 440 10 35 wew. 22.

e-mail: lczul@gminagrodek.pl

 

II. Przedmiot i zakres zamówienia:

Przedmiot zamówienia stanowi Wykonanie przez uprawnionego geodetę  czynności w postępowaniu o rozgraniczenie nieruchomości: dz. ew. 376/10 i 376/19 obr. Rożnów od nieruchomości oznaczonej w ewidencji gruntów jako dz. ew. 376/123 obr. Rożnów w celu ustalenia przebiegu granic i utrwalenia punktów granicznych nieruchomości - na potrzeby prowadzonego postępowania administracyjnego.””. Zakres rozgraniczenia wskazuje załącznik graficzny.

W ramach zamówienia należy wykonać następujące czynności:

- analiza stanu prawnego nieruchomości,

- wyznaczenie terminu i przeprowadzenie czynności rozgraniczeniowych na gruncie,

- sporządzenie dokumentacji geodezyjnej niezbędnej do wydania decyzji administracyjnej.

W celu realizacji zamówienia Zamawiający przekaże Wykonawcy materiały dotyczące prowadzonego postępowania, określając lokalizację działek, charakter sprawy, przebieg postępowania, udzielając wszelkich informacji niezbędnych do przeprowadzenia badań. Pozostałe materiały Wykonawca zobowiązany jest zapewnić we własnym zakresie i na własny koszt (koszta te powinny być uwzględnione w wycenie).

Po sporządzeniu dokumentacji i przedstawieniu jej stronom postępowania, w przypadku złożenia przez strony uwag do dokumentacji, Wykonawca będzie miał obowiązek ustosunkować się pisemnie do tych uwag w wyznaczonym przez Zamawiającego terminie. Obowiązek ustosunkowania się dotyczy również uwag Samorządowego Kolegium Odwoławczego w Nowym Sączu, w przypadku wniesienia odwołania przez strony postępowania.

Przedmiot zamówienia należy wykonać zgodnie z obowiązującymi przepisami.

Dokumentację i czynności w postępowaniu ma wykonać geodeta posiadający uprawnienia w zakresie rozgraniczania i podziału nieruchomości oraz sporządzanie dokumentacji do celów prawnych.

Zamawiający nie dopuszcza składania ofert częściowych.

 

III. Warunki udziału w postępowaniu

Do złożenia oferty na ww. zamówienie zapraszamy wykonawców którzy posiadają lub dysponują pracownikiem/ geodetą posiadającym uprawnienia w zakresie rozgraniczania i podziału nieruchomości oraz sporządzanie dokumentacji do celów prawnych.

Oferty wykonawców, którzy nie spełniają ww. warunków nie będą rozpatrywane.

 

IV. Termin wykonania zamówienia:

Termin w jakim zamówienie powinno być wykonane – 145 dni. Bieg terminu rozpoczyna się wraz z otrzymaniem od Zamawiającego informacji o braku sprzeciwu wobec wyboru wykonawcy ze strony stron postępowania.

  1. Proponowany termin wykonania zamówienia:

Etap I – przedłożenie Zamawiającemu kompletnej dokumentacji rozgraniczeniowej w celu dokonania oceny prawidłowości wykonania czynności ustalenia przebiegu granic pod względem formalno-prawnym - w terminie nie dłuższym niż 90 dni od daty zawarcia umowy.

Etap II – przedłożenie w okresie 30 dni od daty podpisania protokołu odbioru etapu I, dokumentacji rozgraniczeniowej nieruchomości po uprzednim zaewidencjonowaniu dokumentacji technicznej w zbiorze ewidencji materiałów zasobu Powiatowego Ośrodka Dokumentacji Geodezyjnej i Kartograficznej Starostwa Powiatowego w Nowym Sączu (PODGiK), stanowiącej podstawę wydania stosownego rozstrzygnięcia w formie decyzji, w sprawie prowadzonego przez Wójta Gminy Gródek nad Dunajcem postępowania o rozgraniczenie nieruchomości.

  1. Dopuszcza się przedłużenie terminu realizacji umowy w przypadku wystąpienia okoliczności, których nie można było przewidzieć w chwili zawarcia umowy, z przyczyn niezależnych od Wykonawcy tj. przewidzianego w art. 32 ust. 4 Ustawy z dnia 17 maja 1989 r. Prawo geodezyjne i kartograficzne (t.j. Dz. U. z 2020 r., poz. 276 z późn. zm.)

 

V. Przekazanie przedmiotu zamówienia:

  1. W terminie zakreślonym umową Zamawiający otrzyma kompletną dokumentację rozgraniczeniową (tj. 1 egz. „dokumentacji rozgraniczeniowej nieruchomości” - dla Zamawiającego, 1 egz. „dokumentacji technicznej” - dla PODGiK w Nowym Sączu), w celu dokonania oceny prawidłowości wykonania czynności ustalenia przebiegu granic pod względem formalno-prawnym (Etap I zamówienia).
  2. Protokół odbioru etapu I (pozytywna ocena prawidłowości wykonania czynności ustalenia przebiegu granic nieruchomości pod względem formalno-prawnym) będzie stanowić podstawę wnioskowania przez Wykonawcę o zaewidencjonowanie dokumentacji w zbiorze materiałów zasobu geodezyjnego i kartograficznego.

 

VI. Opis sposobu przygotowania propozycji ofertowej:

  1. Oferta winna zostać sporządzona w języku polskim i złożona w formie pisemnej.
  2. Cena łączna musi być wyrażona w postaci słownej oraz cyfrowej (podana netto i brutto w PLN), z dokładnością do dwóch miejsc po przecinku.
  3. Prawidłowe ustalenie należnej stawki podatku VAT należy do obowiązków Wykonawcy zgodnie z przepisami ustawy z dnia 11 marca 2004 r. o podatku od towarów i usług (Dz. U. z 2011 r. Nr 177 poz. 1054 z późn. zm.), a informację na temat jego wysokości lub zwolnienia należy podać w formularzu ofertowym (załącznik nr 1).

 

VII. Zawartość oferty i wymagania dotyczące oferty:

  1. Wypełniony formularz ofertowy – załącznik nr 1.
  2. Zamawiający nie dopuszcza składania ofert częściowych i/lub ofert wariantowych.
  3. Każdy wykonawca może przedłożyć tylko jedną ofertę.
  4. Oferta musi być podpisana przez osobę upoważnioną do reprezentowania firmy.

 

VIII. Kryteria oceny propozycji ofertowej i opis sposobu obliczenia ceny:

1. Jedynym kryterium oceny propozycji cenowej (ofertowej) jest cena zamówienia (wartość brutto wyrażona w PLN).

2. Zamawiający wezwie Wykonawców, którzy złożyli oferty, w przypadku takiej samej ceny, do złożenia w określonym terminie ofert dodatkowych.

3. Zaproponowana cena powinna zawierać:

  • wartość netto przedmiotu zamówienia w PLN,
  • obowiązujący podatek od wartości i usług (VAT),
  • wartość brutto przedmiotu zamówienia w PLN.

4. Wynagrodzenie za wykonanie przedmiotu umowy jest wynagrodzeniem ryczałtowym i powinno uwzględniać wszelkie niezbędne koszty wykonania przedmiotu zamówienia w tym ryzyko Wykonawcy z tytułu oszacowania wszelkich kosztów związanych z realizacją przedmiotu zamówienia.

5. Niedoszacowanie oraz brak rozpoznania zakresu przedmiotu zamówienia nie może być podstawą do żądania zmiany wynagrodzenia ryczałtowego określonego w ofercie.

 

IX. Miejsce i termin złożenia propozycji ofertowej:

Propozycję ofertową należy złożyć do dnia 19 maja 2021 r. do godz. 12:00.

Decydujące znaczenia dla oceny zachowania powyższego terminu ma data wpływu oferty do Zamawiającego:

  1. listownie na adres: Urząd Gminy Gródek nad Dunajcem, Referat Podatków Rolnictwa i Gospodarki Nieruchomościami; Gródek nad Dunajcem 54; 33-318 Gródek nad Dunajcem, - z dopiskiem – „OFERTA NA ROZGRANICZENIE NIERUCHOMOŚCI ROŻNÓW” Nie otwierać przed upływem terminu otwarcia ofert
  2.  –osobiście w sekretariacie Urzędu Gminy Gródek nad Dunajcem,; Gródek nad Dunajcem 54; 33-318 Gródek nad Dunajcem,
  3. W wersji elektronicznej na adres: lczul@gminagrodek.pl – dopuszcza się złożenie oferty w postaci skanu oferty w formie pisemnej lub podpisanie oferty ważnym certyfikatem elektronicznym

 

X. Dodatkowe ustalenia:

  1. Zamawiający zastrzega sobie prawo do:
    1. zmiany lub odwołania niniejszego zapytania,
    2. zmiany warunków lub terminów prowadzonego postępowania ofertowego,
    3. unieważnienia postępowania na każdym jego etapie bez podania przyczyny, a także pozostawienia postępowania bez wyboru oferty.
  2. Zamawiający odrzuci ofertę:
    1. która zostanie złożona po terminie, o którym mowa w pkt 5 niniejszego zapytania;
    2. jeżeli jej treść nie będzie odpowiadała treści niniejszego zapytania;
    3. gdy wykonawca nie przedłoży w wyznaczonym terminie odpowiednich dokumentów;
    4. gdy wykonawca nie złoży w wyznaczonym terminie uzupełnień oraz wyjaśnień dotyczących oferty;
    5. jeżeli jej złożenie będzie stanowiło czyn bezprawny;
    6. która zostanie złożona przez wykonawcę niespełniającego warunków udziału w niniejszym postępowaniu.
  3. Zamawiający unieważni niniejsze postępowanie, jeżeli:
  1. nie wpłynie żadna oferta niepodlegająca odrzuceniu;
  2. cena najkorzystniejszej oferty będzie przewyższała kwotę przeznaczoną na sfinansowanie zamówienia;
  3. nastąpi zmiana okoliczności powodująca, że udzielenie zamówienia nie leży w interesie publicznym;
  4. postępowanie obarczone będzie wadą uniemożliwiającą zawarcie ważnej umowy.
  1. Zamawiający zastrzega sobie prawo do:
  1. wezwania wykonawcy do złożenia uzupełnień oraz wyjaśnień dotyczących ofert;
  2. wezwania wykonawcy do przedłożenia dodatkowych dokumentów potwierdzających informacje zawarte w formularzu ofertowym;
  3. poprawienia oczywistych lub nieistotnych omyłek w ofercie;
  4. podjęcia negocjacji z wybranymi lub wybranym wykonawcą celem uzyskania możliwie korzystnych warunków zamówienia;
  5. wyboru kolejnej najkorzystniejszej oferty, jeżeli wykonawca, którego oferta zostanie wybrana, uchyli się od zawarcia umowy w sprawie niniejszego zamówienia;
  6. odwołania niniejszego zapytania jeżeli nastąpi zmiana okoliczności powodująca, że udzielenie zamówienia nie leży w interesie publicznym.
  1. W niniejszym postępowaniu korespondencja pomiędzy zamawiającym a wykonawcami przekazywana będzie przy użyciu środków komunikacji elektronicznej na adres: lczul@gminagrodek.pl
  2. Niniejsze zapytanie nie stanowi czynności w postępowaniu prowadzonym na zasadach i w trybie określonym przepisami ustawy Prawo zamówień publicznych, ani nie stanowi zobowiązania do zawarcia umowy

 

XI. Związanie ofertą

Termin związania ofertą wynosi 30 dni od dnia jej otwarcia.

 

XII. Informacja o wyborze najkorzystniejszej oferty:

Informacja o wyborze najkorzystniejszej oferty zostanie przekazana oferentom na ich wniosek (pisemnie, telefonicznie lub w formie elektronicznej).

 

XIII. Informacja o terminie i miejscu podpisania umowy:

Informacja o terminie i miejscu podpisania umowy zostanie przekazana wykonawcy, którego ofertę wybrano. Wzór umowy stanowi załącznik nr załącznik do zapytania ofertowego

 

XIV. Pouczenie o ochronie danych

Na podstawie art. 13 ust. 1 i 2 rozporządzenia Parlamentu Europejskiego i Rady (UE) 2016/679 z dnia 27 kwietnia 2016 r. w sprawie ochrony osób fizycznych w związku z przetwarzaniem danych osobowych i w sprawie swobodnego przepływu takich danych oraz uchylenia dyrektywy 95/46/WE (Dz.U.UE.L.2016.119.1, dalej jako RODO), informuję, że:

  1. Administratorem danych jest Gmina Gródek nad Dunajcem - Wójt Gminy, mający siedzibę w Gródku nad Dunajcem, pod adresem Gródek nad Dunajcem 54;
  2. Z administratorem można kontaktować się:

listownie: Gródek nad Dunajcem 54; 33-318 Gródek nad Dunajcem;

lub telefonicznie: 018 440 10 35

  1. Administrator wyznaczył Inspektora Ochrony Danych Osobowych, jest nim p. Robert Koterla, można się z nim kontaktować poprzez e-mail na adres: rkoterla@gminagrodek.pl,

Z Inspektorem Ochrony Danych można kontaktować się we wszystkich sprawach dotyczących danych osobowych przetwarzanych przez administratora.

  1. Pani/Pana dane osobowe przetwarzane będą w celu:
    • wypełnienia obowiązków prawnych, wynikających z ustawy Prawo zamówień publicznych (podstawa prawna: art. 6 ust. 1 lit c Rozporządzenia);
    • realizacji umów, (podstawa prawna: art. 6 ust. 1 lit b Rozporządzenia);
    • w pozostałych przypadkach Pani/Pana dane osobowe przetwarzane będą wyłącznie na podstawie wcześniej udzielonej zgody w zakresie i celu określonym w treści zgody, (podstawa prawna: art. 6 ust. 1 lit a Rozporządzenia).
  2. Pani/Pana dane osobowe mogą być udostępniane innym organom i podmiotom na podstawie obowiązujących przepisów prawa.
  3. Pani/Pana dane osobowe będą przechowywane do chwili realizacji zadania, do którego dane osobowe zostały zebrane a następnie, jeśli chodzi o materiały archiwalne, przez czas wynikający z przepisów ustawy z dnia 14 lipca 1983 r. o narodowym zasobie archiwalnym i archiwach (Dz. U. 2018 r. poz. 217 z zm.).
  4. Zgodnie z RODO przysługuje Pani/Panu prawo do:
    • dostępu do swoich danych osobowych;
    • sprostowania swoich danych osobowych;
    • żądania usunięcia swoich danych osobowych;
    • żądania ograniczenia przetwarzania swoich danych osobowych;
    • wniesienia sprzeciw wobec przetwarzania swoich danych osobowych;
    • żądania przeniesienia swoich danych osobowych;
    • wniesienia skargi do organu nadzorczego, tj. Prezes UODO (na adres Urzędu Ochrony Danych Osobowych, ul. Stawki 2, 00 - 193 Warszawa);
  5. jeżeli przetwarzanie danych odbywa się na podstawie zgody na przetwarzanie, klienci mają prawo do cofnięcia zgody na przetwarzanie ich danych osobowych w dowolnym momencie, bez wpływu na zgodność z prawem przetwarzania, którego dokonano na podstawie zgody przed jej cofnięciem.
  6. Podanie danych osobowych jest wymogiem ustawowym. Osoba, której dane dotyczą jest zobowiązana do ich podania. Inne dane osobowe podane przez Panią/Pana nie na podstawie obowiązującego przepisu prawa, są podawane dobrowolnie, brak ich podania skutkować może ograniczeniem form komunikacji. W sytuacji dobrowolności podawania danych osobowych, zostanie Pani/Pan o tym fakcie poinformowana/y przez merytorycznego pracownika prowadzącego postępowanie.

 

Zatwierdził

 

 

 

/-/ Józef Tobiasz

 

WÓJT GMINY

GRÓDEK NAD DUNAJCEM

 

Załączniki:

  1. Formularz ofertowy – załącznik nr 1.
  2. Projekt umowy – załącznik nr 2.
  • Umieszczony
  • Status przetargu
    zakończony
  • Umieścił
    Lesław Czul